Il piano di spesa presentato da Donald Trump al Congresso prevede tagli draconiani al welfare state e alle politiche di lotta ai cambiamenti climatici.
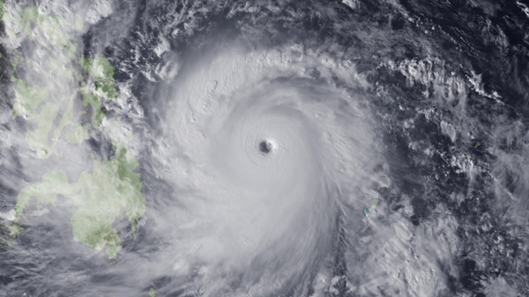
Si possono utilizzare le ricerche ambientali come arma? Evidentemente i servizi segreti americani pensano di sì, se è vera la notizia comparsa sul Guardian di ieri che racconta dell’interessamento della Cia per il lavoro di uno scienziato che ha collaborato alla stesura dell’ultimo rapporto dell’Ipcc, il climatologo della Rutgers University (New Jersey) Alan Robock.
Si possono utilizzare le ricerche ambientali come arma? Evidentemente i servizi segreti americani pensano di sì, se è vera la notizia comparsa sul Guardian di ieri che racconta dell’interessamento della Cia per il lavoro di uno scienziato che ha collaborato alla stesura dell’ultimo rapporto dell’Ipcc, il climatologo della Rutgers University (New Jersey) Alan Robock.
Il ricercatore, che studia come l’aerosol presente nella stratosfera possa raffreddare la superficie del pianeta, in modo analogo a quello che potrebbe fare una massiccia eruzione vulcanica, ha raccontato al quotidiano di esser stato contattato tre anni fa da un paio di sedicenti agenti della Cia che volevano capire se fosse possibile stabilire se un altro paese stesse controllando il clima degli Stati Uniti.
Secondo l’articolo del giornale britannico, Robock avrebbe risposto alla domanda paranoica rivoltagli che un tentativo di modificazione simile sarebbe visibile tramite satellite, escludendo quindi l’ipotesi.
Quello che ha fatto ulteriormente preoccupare il climatologo sarebbe stato un report pubblicato la scorsa settimana dalla National Academy of Sciences sui diversi approcci per affrontare il cambiamento climatico: il documento affronta sia i mezzi per rimuovere l’anidride carbonica dall’atmosfera, sia i modi per modificare le nuvole o la superficie terrestre in modo da riflettere più luce solare verso lo spazio. Secondo lo studio sarebbe ancora più conveniente ridurre la CO2, che influenzare il clima.
Ma dato che la relazione sarebbe stata finanziata congiuntamente da Cia, Nasa, Dipartimento dell’Energia degli Stati Uniti e dalla National Oceanic and Atmospheric Administration, Robock non sembra convinto delle “buone intenzioni” degli Stati Uniti, orientandosi verso la teoria del complotto.
La Cia, che aveva istituito nel 2009 il Centro sui cambiamenti climatici e la sicurezza nazionale, chiuso poi nel 2012, si starebbe ancora occupando di monitorare le ricerche sul clima, soprattutto per individuare potenziali minacce.
L’uso degli esperimenti sul clima come arma è stato vietato nel 1978 in base alla Convenzione di modifica ambientale (Enmod); Robock sarebbe tuttavia convinto che gli Stati Uniti stiano cercando non solo di individuare potenziali minacce, ma anche di agire in modo scorretto.
Siamo anche su WhatsApp. Segui il canale ufficiale LifeGate per restare aggiornata, aggiornato sulle ultime notizie e sulle nostre attività.
![]()
Quest'opera è distribuita con Licenza Creative Commons Attribuzione - Non commerciale - Non opere derivate 4.0 Internazionale.
Il piano di spesa presentato da Donald Trump al Congresso prevede tagli draconiani al welfare state e alle politiche di lotta ai cambiamenti climatici.
In attesa della Cop 23 che si terrà a novembre, 196 paesi sono riuniti a Bonn per tentare di dare attuazione all’Accordo di Parigi. Un compito non semplice.
Ambientalisti e attivisti provenienti da tutti gli Stati Uniti hanno preso parte alla People’s climate change march, la marcia per il clima organizzata il 29 aprile a Washington e in altre città statunitensi. La scorsa settimana la capitale aveva già ospitato la marcia per la scienza in occasione dell’Earth day, ma secondo gli organizzatori le
Il presidente uscente degli Stati Uniti sovvenziona con 500 milioni il Fondo verde per il clima dell’Onu.
Scott Pruitt, climatoscettico e sostenitore delle fonti fossili, è stato nominato da Donald Trump alla testa dell’Agenzia per la protezione dell’ambiente.
Cosa pensa Donald Trump del cambiamento climatico. Con le sue stesse parole. Davvero. Secondo il Sierra Club, sta per diventare l’unico leader mondiale a non credere ai cambiamenti climatici causati dall’uomo.
Uno studio inglese spiega che nel 2100 i voli aerei dall’Europa agli Usa saranno più cari, lunghi e inquinanti di oggi. A causa dei cambiamenti climatici.
Una ventina di ragazzi ha denunciato le politiche ambientali del governo Usa: “Non fa abbastanza per il clima e dunque non ci protegge”.
”Oggi sono orgoglioso di poter annunciare un accordo storico”. A presentare l’accordo sulla riduzione dei gas serra è il presidente americano Barack Obama, che in una conferenza stampa a Pechino, ha spiegato le motivazioni del nuovo trattato tra Cina e Stati Uniti per il taglio delle emissioni di gas serra. E storico lo è per